Twoje oferty
0
0
Filtry

Działki na sprzedaż Uchanie

Znaleziono 1 ofertę

Lista ofert

Apartamenty LER-GS-3050 Uchanie
249 000,00
info-icon
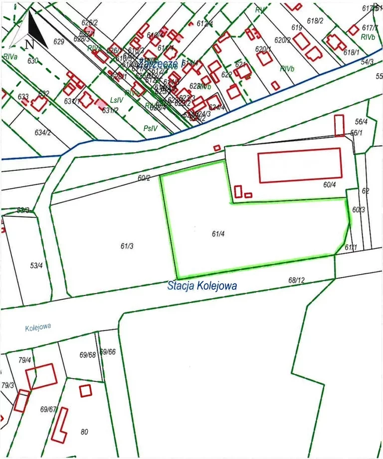
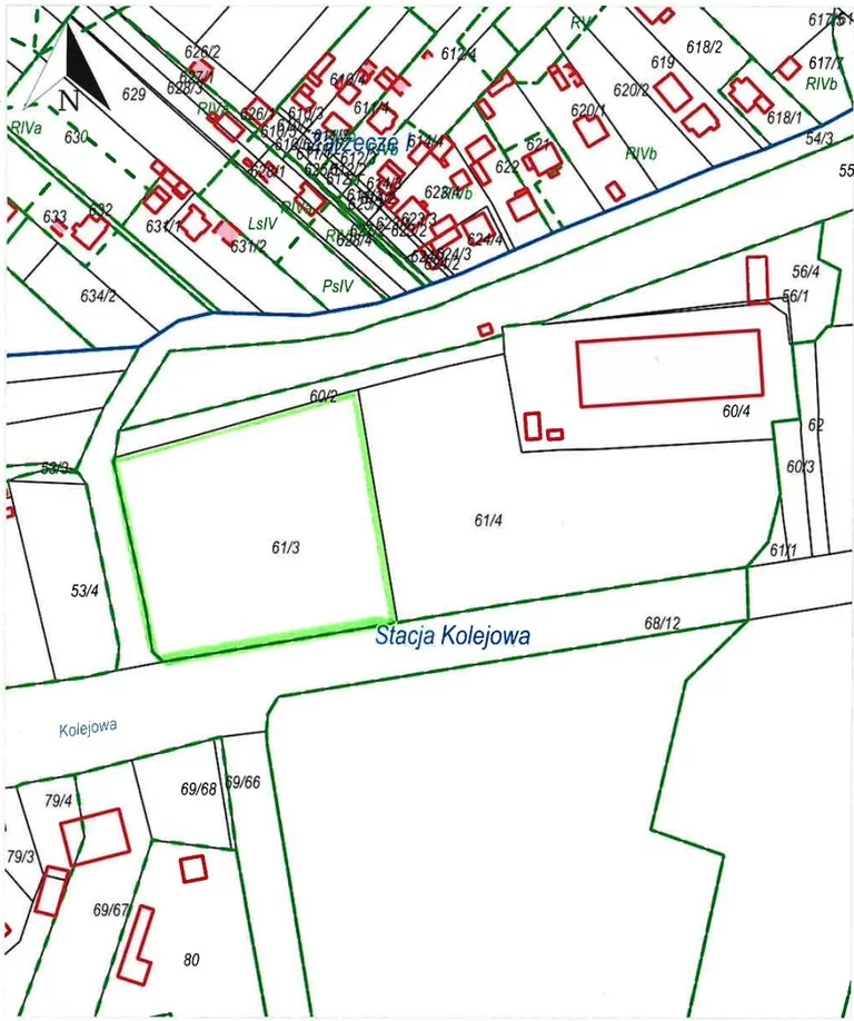
Działka 1 531,00 m²

Alternatywne Biuro Nieruchomości prezentuje Państwu ofertę urokliwego siedliska usytuowanego we wschodniej części województwa lubelskiego - miejscowości Jarosławiec, w gminie Uchanie. Częściowo zalesiona działka o powierzchni całkowitej 1532 m2 zabudowana jest domem wolnostojącym, g...

więcej »

Działka 1 531,00 m²

info-icon

Alternatywne Biuro Nieruchomości Sp. z o.o.

Działka, Uchanie

1531

Dowiedz się pierwszy
  • Premiery mieszkaniowe
  • Rabaty i promocje
  • Specjalne oferty
Administratorem danych jest Tabelaofert.pl sp. z o.o. więcej »