Atrakcyjna, kameralna działka z trzema granicami obrośniętymi piękną, bujną zielenią Księginice Małe / Sobótka
Domy wolnostojące z trzech stron, a od północy otwarty teren pól ornych.
Z szybkim dojazdem do głównej drogi przechodzącej przez miejscowość.
Wjazd od strony północnej z możliwością zrobienia ogrodu od strony zachodniej lub południowej, co zapewni dobre nasłonecznienie.
W miejscowym planie zagospodarowania przestrzennego oznaczona jako teren zabudowy mieszkaniowej niskiej intensywności lub zagrodowej (RM/MN1)
Klasa bonitacyjna: PsIII
W trakcie uzyskiwania decyzji o trwałym wyłączaniu z produkcji rolnej i warunków zasilania na wodę i prąd.
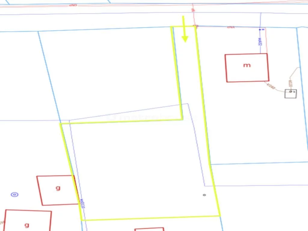
Wymiary: 28. X 33 m.
Media:
- woda na działce
- prąd w drodze dojazdowej do działki.
6 minut autem od Jordanowa Śląskiego i DK8 i 30 km do granic Wrocławia
W ofercie mamy również sąsiednią działkę, o pow. 950 mkw.
Zapraszam do kontaktu, chętnie odpowiem na wszelkie pytania.
Nie zwlekaj, umów się na prezentację już dziś.
Czy wiesz, że możemy przygotować dla Ciebie prezentację on-line nieruchomości? Skontaktuj się z naszym Agentem i zapytaj o szczegóły.
Pomimo, iż Doradcy Metrohouse przykładają szczególną staranność do rzetelnego prezentowania informacji o nieruchomości, nie zawsze jest możliwa weryfikacja wszystkich danych przekazanych od osób trzecich. Niniejsza prezentacja oferty nie jest ofertą w rozumieniu Kodeksu Cywilnego i ma charakter wyłącznie informacyjny.