Oferujemy na sprzedaż prostokątną działkę położoną zaledwie kilkanaście kilometrów od Krakowa!
Nieruchomości o powierzchni od 30 do 37 ar są objęte miejscowym planem zagospodarowania przestrzennego Gminy Kocmyrzów‑Luborzyca symbolem R1
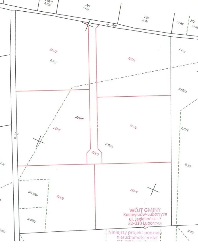
Aktualnie działka została podzielona na 6 mniejszych działek o pow. od 30 ar do 37 ar.
media dostepna na dzialce: prad.
Gaz przemyslowy jest aktualnie w trakcie budowy w sasiedztwie.
Szczegóły planu miejscowego dostępne są na stronie gminy (Uchwała nr XLII/327/2018 z dnia 12.07.2018).
Oto kilka kluczowych zalet Rawałowic (gmina Kocmyrzów‑Luborzyca, powiat krakowski):
Świetna komunikacja z Krakowem zapewnia bezpośrednie połączenie autobusem linii 262 z Czyżynami w około 30-35 minut.
Malownicze, wiejskie otoczenie sprzyja wypoczynkowi na łonie natury i oferuje ciszę z dala od miejskiego zgiełku.
Bogata historia sięgająca wzmianki z 1238 r. świadczy o wielowiekowych tradycjach i ciekawym dziedzictwie lokalnym.
Kameralna społeczność licząca około 385 mieszkańców sprzyja budowaniu sąsiedzkich relacji i poczucia wspólnoty.
Stabilna infrastruktura wodna oparta na własnym ujęciu gminnym gwarantuje dostęp do bezpiecznej wody pitnej.
Objęcie strategią Zrównoważonej Mobilności Metropolii Krakowskiej (SUMP) zapowiada rozwój tras rowerowych, pieszych oraz usprawnienia w transporcie zbiorowym.
Dostęp do rozbudowanego geoportalu i miejscowych planów zagospodarowania przestrzennego ułatwia inwestycje i planowanie rozwoju nieruchomości.
Więcej informacji
Kuba Obcowski
+48 510 087 993
::DODATKOWE INFORMACJE
Prąd: jest
Gaz: w trakcie prowadzenia
Woda: brak
Dojazd: asfalt
Otoczenie: działki niezabudowane
Kanalizacja: brak
Komunikacja publ.: autobus podmiejski
Położenie: na wsi
Wymiary działki [m]: 126 x 178
Zagosp. działki: niezagospodarowana
Ukształtowanie działki: lekko nachylona
Kształt działki: prostokąt
Ogrodzenie działki: brak
Warunki zabudowy: MPZP
Zabudowa działki: brak
::LINK DO STRONY
https://sadurscy.pl/offer/BS5-GS-312130
Zobacz Wirtualny Spacer: https://panoramy.galactica.pl/virgo/486813
::KONTAKT DO AGENTA
Jakub Obcowski
+48 510-087-993
Zapytaj o ofertę
::DANE BIURA
Oddział BS5, Nowa Huta
Bracia Sadurscy Dariusz Sadurski
Os. Kazimierzowskie 36
31-844 Kraków
12 265 10 29
Pośrednik odpowiedzialny zawodowo za wykonanie umowy pośrednictwa: Dariusz Sadurski (licencja nr: 803)