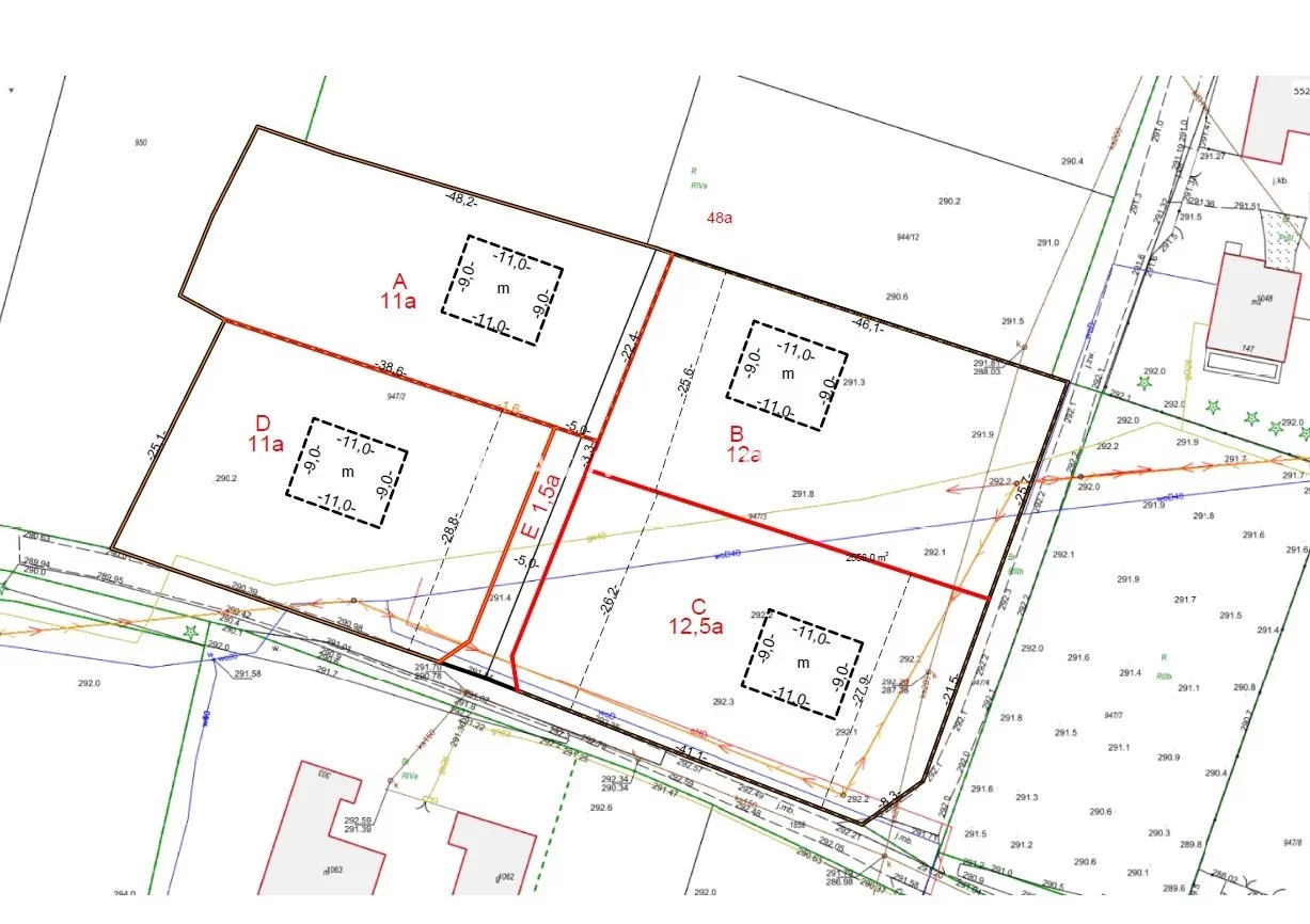
Oferta sprzedaży działek budowlanych w miejscowości Krzyszkowice - o powierzchni 1100 m², 1200 m² , 1250 m²
Działka budowlana objęta planem zagospodarowania przestrzennego - MN1
Na sprzedaż wyjątkowa działka budowlana o powierzchni 1100 m², położona w malowniczej i spokojnej dzielnicy Krakowa - Sidzinie.
Działki dostępne:
- A o powierzchni 1100 m² w cenie 220 000 zł
- B o powierzchni 1200 m² w cenie 300 000 zł
- C o powierzchni 1250 m² w cenie 312 500 zł
- D o powierzchni 1100 m² w cenie 220 000 zł
Opis działki
Powierzchnia: od 1100 m² do 1250 m² ,
Kształt: prostokąt
Ukształtowanie terenu: w większości powierzchni płaska, w małej części niebudowlanej lekko pochyła.
Zabudowa: Jednorodzinna, oznaczenie MPZP 101MN1, w małej części działka oznaczona w MPZP ZR1 (tereny zieleni nie urządzonej)
dla budynków mieszkalnych w terenach oznaczonych na rysunku zmiany planu
symbolami MN1 oraz MU ustala się:
a. maksymalną wysokość budynku o dachu stromym - 10 metrów, dopuszcza się aby część
budynku posiadała dach płaski pod warunkiem, iż o powierzchnia przekrycia budynku
dachem płaskim nie przekroczyły 40% powierzchni zabudowy budynku; maksymalna
wysokość części budynku o dachu płaskim - 8m,
b. zasadę, aby dachy strome budynków były dwuspadowe lub wielospadowe o jednakowym
nachyleniu głównych połaci od 25º do 45º,
c. możliwość realizacji tarasów, parkingów lub terenów biologicznie czynnych na dachach
płaskich;
d. możliwość doświetlenia dachów stromych lukarnami lub oknami połaciowymi,
e. zasadę, aby dachy strome posiadały kolory ciemniejsze niż ich ściany; wprowadza się zakaz
stosowania pokryć dachowych i ścian w kolorach jaskrawym (np. intensywnie żółtych,
zielonych, fioletowych, niebieskich)
wskaźnik terenu biologicznie czynnego:
w terenach zabudowy jednorodzinnej MN1 nie może być mniejszy niż 30% powierzchni
działki budowlanej
w terenach zabudowy jednorodzinnej MN1 nie może być większy niż 40% powierzchni
działki budowlanej
minimalna powierzchnia nowo wydzielanej działki wynosi: 800m2 ,
b. minimalna szerokość nowo wydzielanej działki wynosi: 16 metrów,
Działka oferuje elastyczne możliwości zabudowy, dzięki czemu doskonale sprawdzi się zarówno dla inwestorów, jak i rodzin poszukujących przestrzeni na wymarzony dom w spokojnej okolicy.
Zalety lokalizacji
Komunikacja: Dobra dostępność do głównych arterii miasta - szybki dojazd do Krakowa (ok. 20 minut samochodem). W pobliżu znajdują się również przystanki komunikacji miejskiej.
Okolica: Krzyszkowice to miejscowość łącząca spokój wiejskiego klimatu z dostępem do miejskich udogodnień. W sąsiedztwie znajdują się domy jednorodzinne, co gwarantuje ciszę i bezpieczeństwo.
Edukacja i infrastruktura: W pobliżu zlokalizowane są szkoły, przedszkola, sklepy spożywcze oraz punkty usługowe.
Przyroda: Wokół dużo terenów zielonych, idealnych na spacery, jazdę na rowerze czy rodzinne pikniki.
Dodatkowe atuty
Media: Dostęp do mediów na działce (prąd, woda, kanalizacja, gaz)
Perspektywy: Atrakcyjna lokalizacja z dużym potencjałem inwestycyjnym - idealna na wynajem lub dalszą sprzedaż po zagospodarowaniu.
Nie czekaj - działka w Krzyszkowicach to idealne miejsce na realizację Twoich marzeń o własnym domu lub inwestycji!
Skontaktuj się z nami już dziś, aby umówić się na prezentację!
Warto zobaczyć osobiście, aby w pełni docenić możliwości, jakie oferuje ta nieruchomość.
Więcej informacji
Kuba Obcowski
+48 510 087 993
Prezentacja nieruchomości po podpisaniu umowy pośrednictwa jest całkowicie bezpłatna.
::DODATKOWE INFORMACJE
Prąd: jest
Gaz: jest
Woda: jest
Dojazd: asfalt
Otoczenie: zabudowa jednorodzinna
Kanalizacja: tak
Komunikacja publ.: komunikacja podmiejska
Opłaty wg liczników: woda, prąd, gaz
Wymiary działki [m]: 25 x 38
Zagosp. działki: niezagospodarowana
Ukształtowanie działki: lekko nachylona
Kształt działki: prostokąt
Ogrodzenie działki: brak
Warunki zabudowy: MPZP
Zabudowa działki: brak
::LINK DO STRONY
https://sadurscy.pl/offer/BS5-GS-309431
Zobacz Wirtualny Spacer: https://panoramy.galactica.pl/virgo/478943
::KONTAKT DO AGENTA
Jakub Obcowski
+48 510-087-993
Zapytaj o ofertę
::DANE BIURA
Oddział BS5, Nowa Huta
Bracia Sadurscy Dariusz Sadurski
Os. Kazimierzowskie 36
31-844 Kraków
12 265 10 29
Pośrednik odpowiedzialny zawodowo za wykonanie umowy pośrednictwa: Dariusz Sadurski (licencja nr: 803)