Kołobrzeg, 17 lutego 2025 r.
WYCIĄG Z OGŁOSZENIA O PRZETARGU
GN.6840.1.26.2019.II
Na podstawie art. 37 ust. 1, art. 38, art. 67 ust. 2 pkt 2 ustawy z dnia 21 sierpnia 1997 r. o gospodarce nieruchomościami (Dz. U. z 2024 r. poz. 1145, z późn. zm.) i rozporządzenia Rady Ministrów z dnia 14 września 2004 r. w sprawie sposobu i trybu przeprowadzania przetargów oraz rokowań na zbycie nieruchomości (Dz.U. z 2021 r. poz. 2213) oraz uchwały Nr XVIII/272/20 Rady Miasta Kołobrzeg z dnia 16 stycznia 2020 r.,
PREZYDENT MIASTA KOŁOBRZEG
uprzejmie zaprasza do uczestnictwa w II przetargu ustnym nieograniczonym na zbycie nieruchomości położonej w Kołobrzegu
Lp. 1
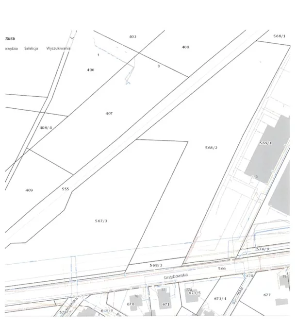
Położenie i opis nieruchomości ul. Grzybowska Kołobrzeg
Oznaczenie geodezyjne
Nr dz. 568/2
Nr obr 9
Nr księgi wieczystej KO1L/00011921/7
Pow. w [ha] 0,8972
Opis nieruchomości Nieruchomość niezabudowana, położona w strefie peryferyjnej miasta, w terenie zurbanizowanym, dostępność komunikacyjna dobra, od ul. Grzybowskiej, urządzonej. Na działce znajdują się zakrzewienia i zadrzewienia. Przez teren działki przebiega sieć telekomunikacyjna.
Przeznaczenie
w planie zagospodarowania przestrzennego U18 – przeznaczenie: tereny zabudowy usługowej, zasady zagospodarowania: budynki usługowe (w tym usług związanych z handlem i gastronomią), dopuszcza się: w zakresie usług handlu powierzchnię sprzedaży nie większą niż 2000m2, warsztaty samochodowe, myjnie i salony samochodowe oraz stacje paliw.
Forma zbycia nieruchomości własność
Cena wywoła-wcza w zł 6.500.000,- (w tym VAT 23%)
Wadium w zł 650.000,-
Postąpienie minimal-ne w 65.000,-
Przetarg odbędzie się w dniu 28 kwietnia 2025 r.
w sali konferencyjnej Urzędu Miasta Kołobrzeg, ul. Ratuszowa 13 o godzinie 11.00
Warunkiem przystąpienia do przetargu jest wpłata wadium w pieniądzu na rachunek Gminy Miasto Kołobrzeg w PKO Bank Polski S.A. O/Koszalin 25 1020 2791 0000 7502 0228 1632 - do dnia 22 kwietnia 2025 r. Za datę wpłaty wadium uważać się będzie dzień wpływu pieniędzy na rachunek Sprzedającego. Dowód wpłaty wadium w pieniądzu na podany powyżej rachunek bankowy należy przedłożyć komisji przetargowej przed przetargiem. Wpłacenie wadium równoznaczne jest z zapoznaniem się z warunkami przetargu i ich akceptacją oraz potwierdzeniem przez potencjalnego Nabywcę faktu zapoznania się ze stanem prawnym i technicznym przedmiotu sprzedaży i przyjęciu ich bez zastrzeżeń.
Do przetargu mogą przystąpić osoby fizyczne i prawne. Uczestnicy przetargu winni: legitymować się dowodem tożsamości; w przypadku osób prawnych i jednostek organizacyjnych nie posiadających osobowości prawnej, a podlegających wpisom do rejestrów – aktualnym wypisem z właściwego rejestru, a w przypadku reprezentacji – pełnomocnictwem uprawniającym do wzięcia udziału w przetargu i dowodem tożsamości osoby reprezentującej podmiot. W przypadku dokonania wpłaty wadium przez małżonków, a uczestnictwa w przetargu jednego z nich - przedłożyć pisemną zgodę współmałżonka o wyrażeniu zgody na nabycie nieruchomości ze środków pochodzących z majątku wspólnego, lub złożenie przez osobę przystępującą do przetargu oświadczenia o istnieniu rozdzielności majątkowej pomiędzy małżonkami i nabycia do majątku odrębnego.
Wadium wpłacone przez osobę, która wygra przetarg zaliczone zostanie na poczet ceny nabycia. Pozostałym osobom wadium zwraca się w terminie 3 dni od daty zamknięcia przetargu - warunkiem jest podanie numeru rachunku, na jaki powinno być zwrócone wadium. O miejscu i terminie zawarcia notarialnej umowy sprzedaży osoba ustalona Nabywcą nieruchomości zostanie zawiadomiona w terminie 21 dni od rozstrzygnięcia przetargu. Jeżeli osoba ustalona Nabywcą nieruchomości nie przystąpi bez usprawiedliwienia do zawarcia umowy w miejscu i terminie podanych w ww. zawiadomieniu sprzedający może odstąpić od zawarcia umowy, a wpłacone wadium nie podlega zwrotowi. Koszty umowy ponosi Nabywca. Cena sprzedawanej nieruchomości podlega zapłacie nie później niż w dniu poprzedzającym dzień zawarcia umowy przenoszącej własność.
Termin przeprowadzenia I przetargu – 12 września 2024 r.
Przez teren działki przebiega sieć telekomunikacyjna. Zmiana jej lokalizacji może być dokonana staraniem i na koszt nabywcy działki w porozumieniu i za zgodą właściciela instalacji.
Na działce znajdują się zakrzewienia i zadrzewienia, ich ewentualna wycinka może nastąpić po uzyskaniu zezwolenia w odrębnym postępowaniu.
Nieruchomość położona jest w strefie ochrony uzdrowiskowej „C”, na terenie górniczym „Kołobrzeg” i obszarze górniczym „Kołobrzeg II”, w granicach obszaru chronionego krajobrazu „Koszaliński Pas Nadmorski”.
Zgodnie z obowiązującym miejscowym planem zagospodarowania przestrzennego części obszaru miasta Kołobrzeg „5 – Trzebiatowska” z wyłączeniem działek nr 10/7, 75/1, 76/24, 122/12, 122/14, 122/15, 122/16, 122/17 oraz części działek nr 10/9, 74/3 i 122/6, obręb 18, opublikowanym w Dzienniku Urzędowym Województwa Zachodniopomorskiego z dnia 09 maja 2019 r., poz. 2655 działka leży w terenie oznaczonym symbolem U18 – przeznaczenie: tereny zabudowy usługowej. Plan ustala min. zasady zagospodarowania: budynki usługowe (w tym usług związanych z handlem i gastronomią), dopuszcza się: w zakresie usług handlu powierzchnię sprzedaży nie większą niż 2000m2, warsztaty samochodowe, myjnie i salony samochodowe oraz stacje paliw; powierzchnię zabudowy: nie większą niż 40% powierzchni działki budowlanej; powierzchnię biologicznie czynną: nie mniejszą niż 30% powierzchni działki budowlanej; wskaźnik intensywności zabudowy: nie mniejszy niż 0,1 dla działki budowlanej, nie większy niż 1,5 dla działki budowlanej; wysokość zabudowy: nie większą niż 13,0 m, geometrię dachów: dachy dwu- lub wielospadowe, o kącie nachylenia połaci od 25° do 45° i/lub dachy płaskie. Działka znajduje się, zgodnie z rysunkiem planu: w granicy strefy „E” ochrony konserwatorskiej ekspozycji historycznych zespołów lub ich dominant, mającej na celu ochronę ekspozycji krajobrazu kulturowego obejmującą sylwetę starego miasta i portu; w granicach stref „E” ochrony konserwatorskiej ekspozycji historycznych zespołów lub ich dominant, mających na celu ochronę ekspozycji wieży katedry. Plan ustala obsługę komunikacyjną z przyległych dróg lub poprzez utrzymanie istniejącej obsługi z zastrzeżeniem § 15 pkt 2, tj. zakazuje się: obsługi z dróg oznaczonych symbolem KDG, za wyjątkiem utrzymania istniejących zjazdów, oraz za wyjątkiem przypadków, kiedy nieruchomość sąsiaduje wyłącznie z drogami oznaczonymi symbolem KDG.
Nabywca nieruchomości zobowiązany jest zapoznać się z istniejącym stanem prawnym, technicznym, sposobem zagospodarowania oraz stanem faktycznym nabywanej działki; przeznaczeniem nieruchomości w obowiązującym miejscowym planie zagospodarowania przestrzennego miasta Kołobrzeg wraz z rysunkiem planu; posadowionymi na nieruchomości sieciami, urządzeniami i infrastrukturą techniczną, w szczególności ograniczającymi lub mającymi wpływ na możliwości zagospodarowania nabywanej nieruchomości.
Nabywca nieruchomości zobowiązany jest do przejęcia terenu w stanie zgodnym z istniejącym, bez jakichkolwiek roszczeń w tym zakresie.
Termin zagospodarowania nieruchomości: 24 miesiące na rozpoczęcie, za które uważa się wybudowanie fundamentów budynku i 48 miesięcy na zakończenie zagospodarowania, za które uważa się wybudowanie budynku w stanie surowym zamkniętym, licząc od dnia podpisania aktu notarialnego przenoszącego własność.
Obowiązek zagospodarowania nieruchomości zbywanej na własność w terminach podanych w przetargu zostanie zabezpieczony w następujący sposób:
w umowie notarialnej sprzedaży nieruchomości zostanie zastrzeżone na rzecz Gminy Miasto Kołobrzeg prawo jej odkupu na okres 5 lat /art.593 k.c./ w razie niedotrzymania któregokolwiek z ustalonych terminów zagospodarowania nieruchomości, wraz z wnioskiem o wpis w księdze wieczystej prowadzonej dla zbywanej działki,
w razie niedotrzymania któregokolwiek z ustalonych terminów zagospodarowania nieruchomości nabywca zobowiązany jest do zapłaty kar umownych w wysokości:
A/ 1% ceny nabycia brutto za przekroczenie terminów do 1 roku,
B/ 2% ceny nabycia brutto za przekroczenie terminów od 1 roku do 2 lat,
C/ 2% ceny nabycia brutto za każdy następny rok przekroczenia terminów, powyżej 2 lat.
Zapłata kar umownych zabezpieczona zostanie poprzez ustanowienie na nieruchomości hipoteki w kwocie równej 10% ceny nabycia brutto.
Łączna wysokość kar umownych z tytułu niedotrzymania terminów zagospodarowania nie może przekroczyć 15 % ceny nabycia brutto.
Nabywcy przysługuje prawo ubiegania się o przedłużenie terminów zagospodarowania nieruchomości w przypadku wystąpienia okoliczności od niego niezależnych, które uniemożliwiają realizację zagospodarowania w wyznaczonych terminach.
Rozporządzenie nabytą nieruchomością na rzecz innego podmiotu nie zmienia biegu terminów jej zagospodarowania, liczonych od dnia sprzedaży działki przez Gminę Miasto Kołobrzeg. W przypadku rozporządzenia nabytą nieruchomością nowy właściciel przyjmuje na siebie zobowiązanie do zapłaty kar umownych w związku z nieterminowym zagospodarowaniem nieruchomości, w wymiarze od dnia nabycia przez niego nieruchomości. Obowiązek poinformowania kupującego o terminach zabudowy nieruchomości, okolicznościach i wysokości naliczanych z tego tytułu kar umownych spoczywa na dotychczasowym właścicielu. Niedopełnienie powyższego obowiązku skutkować będzie obciążeniem karami dotychczasowego właściciela. Zobowiązania powstałe przed rozporządzeniem nieruchomością obciążają jej
dotychczasowego właściciela. Nowemu właścicielowi przysługuje również prawo do ubiegania się o przedłużenie terminów zagospodarowania nieruchomości na zasadach określonych powyżej.
Szczegółowe informacje dotyczące ww. nieruchomości, można uzyskać w Urzędzie Miasta Kołobrzegu ul. Ratuszowa 13, pokój 303, tel. 94 35 515 62 lub e-mail:
Zapytaj o ofertę
Tekst niniejszego ogłoszenia opublikowany został również na internetowej stronie Urzędu Miasta Kołobrzeg pod adresem www.i-kolobrzeg.pl i w Biuletynie Informacji Publicznej Urzędu Miasta Kołobrzeg oraz wywieszony na tablicy ogłoszeń tut. urzędu.
Zastrzega się prawo odwołania lub unieważnienia przetargu z podaniem uzasadnionej przyczyny.
Udział w postępowaniu przetargowym wiąże się z przetwarzaniem danych osobowych oferentów. Państwa dane osobowe przetwarzane są na podstawie art. 6 ust. 1 lit. c oraz e Parlamentu Europejskiego i Rady (UE) 2016/679 z dnia 27 kwietnia 2016 r. w sprawie ochrony osób fizycznych w związku z przetwarzaniem danych osobowych i w sprawie swobodnego przepływu takich danych oraz uchylenia dyrektywy 95/46/WE (ogólne rozporządzenie o ochronie danych) (Dz. U. UE. L. z 2016 r. Nr 119, str. 1 z późn. zm.), a także ustawy z dnia 21 sierpnia 1997 r. o gospodarce nieruchomościami i rozporządzenia Rady Ministrów z dnia 14 września 2004 r. w sprawie sposobu i trybu przeprowadzaniu przetargów oraz rokowań na zbycie nieruchomości. Administratorem danych osobowych przetwarzanych w ramach postępowania przetargowego jest Prezydent Miasta Kołobrzeg. Siedzibą administratora danych osobowych jest Urząd Miasta Kołobrzeg, 78-100 Kołobrzeg, ul. Ratuszowa 13. Administrator danych wyznaczył Inspektora Ochrony Danych, z którym można kontaktować się we wszystkich sprawach dotyczących przetwarzania danych osobowych oraz korzystania z praw związanych z przetwarzaniem danych.
Szczegółowe informacje na temat przetwarzania danych osobowych znajdują się w Biuletynie Informacji Publicznej Urzędu Miasta Kołobrzeg znajdującym się pod adresem strony internetowej http://um.kolobrzeg.pl oraz w miejscu publikacji ogłoszenia o przetargu.